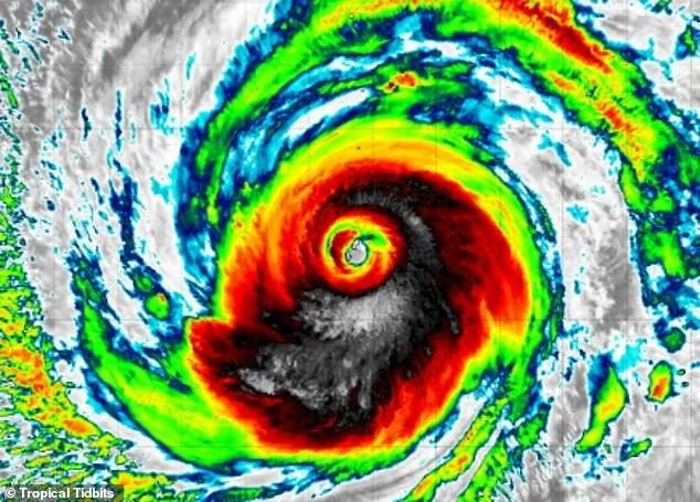
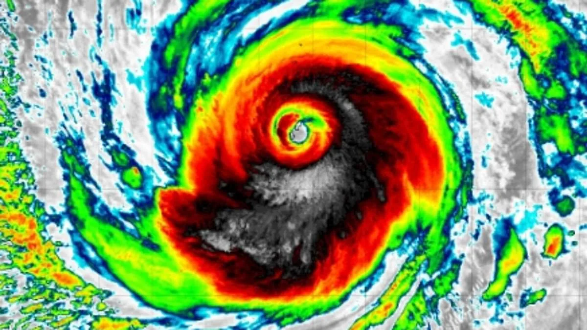
Super Typhoon Sinlaku is rapidly approaching US territories, carrying devastating 173 mph sustained winds. This Category 5 system became the most powerful storm of the Pacific season this Monday. The massive cyclone is heading directly for Guam and the Northern Mariana Islands, including Rota, Tinian, and Saipan.
The approaching storm has already left nearly 2,000 tourists stranded across these Pacific territories. Flight cancellations in Guam have prevented approximately 1,500 visitors from returning home. Residents face significant threats of flooding, power outages, and widespread destruction as the storm nears Tuesday night.

The potential for long-term devastation mirrors the 2018 impact of Typhoon Yutu. That previous storm battered the Northern Mariana Islands, causing economic damage that required years of recovery. Now, the community faces similar uncertainty regarding infrastructure and the stability of local life.

While similar to hurricanes and cyclones, typhoons specifically form within the West Pacific Ocean. Hurricanes begin in the Atlantic and Eastern Pacific, while cyclones start south of the equator near Australia and Madagascar. This Category 5 storm features destructive winds exceeding 157 mph, the highest level measured by meteorologists. The National Weather Service warned of heavy rain, coastal impacts, and thunderstorms through Wednesday.
Guam, an unincorporated US territory, houses more than 170,000 residents who are American citizens. Although Congress holds final authority, these residents lack the power to vote in federal elections. On Sunday, President Trump approved emergency disaster declarations for both Guam and the Northern Mariana Islands. This allows FEMA and other agencies to assist with supplies and recovery.

The US military on Guam has received orders to shelter in place during the onslaught. Although the storm has already brought 80 mph winds to Guam, it is currently slowing down. Meteorologist Landon Aydlett from the National Weather Service noted this slowdown could extend the duration of damage.
The storm is expected to persist for several days before eventually dissipating over land or cooler water. While the most intense winds may pass within 24 hours, the aftermath could last months. According to the Pacific Daily News, Aydlett warned, "It’s going to be a very long night."

As the Pacific typhoon season continues from mid-February through early December, eyes turn to the Atlantic. The Atlantic hurricane season begins June 1, and AccuWeather predicts five cyclones could impact the US mainland in 2026.
As a powerful typhoon approaches the Mariana Islands, the threat of sustained winds exceeding 140 mph this Tuesday has left many in a state of high alert. Property damage is already being reported across the region, and the storm is currently stranding tourists on both Guam and the Northern Mariana Islands. An estimated 400 tourists are believed to be trapped within the US commonwealth, a region with a population of approximately 47,000 people, primarily located on the island of Saipan.

The psychological toll of the approaching weather is palpable. "Many of you up there in the CNMI probably have a sleepless night, as it's going to be very loud, a lot of action going on and unfortunately, a lot of damage," one person remarked, reflecting the dread felt by residents.

The 14-island archipelago in the western Pacific, comprising Saipan, Tinian, and Rota, relies heavily on a tourism industry built around its beaches, diving, and World War II history. While English is the official language and those born in the islands are US citizens, they do not have the right to vote, though they do maintain more self-governing autonomy than other US commonwealths due to a special 1975 agreement with Congress.
The storm also poses a significant risk to one of the most critical military hubs in the western Pacific. In Guam, US military installations cover about one-third of the island's landmass. Andersen Air Force Base supports long-range bombers, including the B-52 and B-2, both of which are capable of carrying nuclear weapons. Meanwhile, Naval Base Guam provides essential logistics and support for the US Pacific Fleet and serves as a home for attack submarines. The intersection of civilian vulnerability and high-scale military presence makes the approaching storm a matter of significant regional concern.